- Startseite
- Erinnerungen
- Siedlergemeinschaft Lindenberg 2 - eine Flüchtlingssiedlung
Siedlergemeinschaft Lindenberg 2 - eine Flüchtlingssiedlung
- Autor: Falk Urlen
- Zeit: 1958
- Ort: Stadtansicht
- Vom: 07.05.2018
- Themen: Stadtentwicklung, Künstler, Chronisten und Biografen
Der Wappenbaum der Siedlergemeinschaft Lindenberg II
Foto: Falk Urlen
Im Jahr 1983 schrieb Wilhelm Fietkau die Chronik zum 25. Jubiläum der Siedlergemeinschaft Lindenberg 2, diese wurde dann im Laufe der Zeit weitergeführt durch Dagmar Zach, Peter Pütz, Horst Mügge, Siglinde Mügge, Birgit Vogt, Bernd Scholl und Christian Will. In der Anlage werden gesammelte Erinnerungen dargestellt, die aus mehrern Festschriften entnommen wurden.
Der erste Vorsitzende war Otto Bauer (Bild unten rechts), den einige noch aus anderen Organisationen kennen werden. Wilhelm Fietkau, ein späterer Vorsitzender, schrieb dann 1983 die Chronik, die später von anderen weitergeführt wurde, so z. B. durch Hans-Peter-Pütz.
Fietkau (Bild unten) beschreibt die Zeit der Gründung:
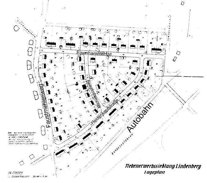
"Im Sommer 1958 wurde durch den damaligen Landwirtschaftsminister Hacker unsere Siedlung feierlich eingeweiht. Für dieses Objekt stellte die Landesregierung 2,5 Millionen DM bereit. 10% dieser Kreditmittel mussten die Siedler aufbringen, was für die meisten in damaliger Zeit, nur wenige Jahre nach der Vertreibung aus der Heimat, finanziell nur unter erheblicher Entbehrung zu bewältigen war. Heimatvertriebene Deutsche aus den Gebieten Ostpreußen, Westpreußen, Pommern, Posen, Sudetenland, Schlesien, Ungarn, Jugoslawien, Rumänien, aus den Karpaten und Wolynien, fanden nunmehr am Lindenberg ihre neue Heimat. Berücksichtigt wurden solche Bewerber, die in den Ostgebieten landwirtschaftliche Anwesen ihr Eigen nannten. Die Auslosung der Grundstücke fand anlässlich einer Feierstunde im damaligen Theater des Ostens statt. Es entstanden 56 Siedlerstellen, davon 8 Doppelhäuser mit je über 1000 qm Eigentumsfläche. Damit die Siedler das Grundstück auch landwirtschaftlich nutzen konnten, erhielt jedes Haus ein Stallgebäude. In den jeweiligen Häusern befand sich eine Einliegerwohnung, so erhielten nach Zuweisung des Wohnungsamtes weitere 56 Familien ebenfalls eine Bleibe.
Wie schnell und intensiv unsere Siedler nach dem Einzug gearbeitet haben, beweist die Tatsache, dass bereits 1960 die Teilnahme am Wettbewerb „Die beste Kleinsiedlung" praktiziert werden konnte. Ergebnis: Landessieger in der entsprechenden Gruppe 2, weitere Teilnahmen in 1962 und 64 brachten uns ebenfalls einen 2. Platz. Aus den Wettbewerben resultierten Geldpreise und so wurden schon damals, zum Nutzen aller Siedler, verschiedene Gerätschaften angekauft. Einige seien genannt: Baugerüst, Leiter, Spritze, Vertikutierer.
Nach und nach lernten sich die Siedler besser kennen und kamen sich auch menschlich näher. Hierzu gehörte in verstärktem Maße eine vorbildliche Nachbarschaftshilfe, z.B: Dachdecken, Bäume schneiden und spritzen, Materialbeschaffung usw. Die Jugend wuchs heran und so musste manches Siedlerhaus erweitert werden. An- und Umbauten wurden vorgenommen, auch wieder z. T. in Gemeinschaftsarbeit. Im Zuge der fortschreitenden Motorisierung wurden nach und nach Garagen gebaut, bzw. Stallungen umgebaut. Auch diese Arbeiten wurden meist in Selbst- und Nachbarschaftshilfe, unter Benutzung der Gemeinschaftsgeräte, ausgeführt. Man konnte eine rege Vereinstätigkeit melden. So wurden Busfahrten unternommen, Grillpartys gefeiert, Straßenfeste veranstaltet, sowie gemeinsame Wanderungen durchgeführt. Auch eine Frauengruppe gehörte zu den Grundsteinen unserer Gemeinschaft. Leider fehlte uns ein eigener Gemeinschaftsraum, so dass wir bei Veranstaltungen auf Gaststätten angewiesen waren, während kleinere Zusammenkünfte bei Siedlern abgehalten wurden. Das Leben nahm seinen Lauf und so gaben eine Reihe von Siedlern aus der Gründerzeit ihren Besitz an ihre Kinder weiter. Bei anderen wiederum wurden Zweithäuser auf ein und derselben Siedlerstelle errichtet."
Wilhelm Fietkau verstarb unerwartet 1985, sein Nachfolger wurde Horst Zach.
Inzwischen hatte sich die Gemeinschaft eine Obstpresse angeschaft, die intensiv genutzt wurde, vor allem auch bei öffentlichen Veranstaltungen zeigte man der Bevölkerung, was man mit den Erzeugnissen aus den Siedlergärten alles anfangen kann, so auf dem Bettenhäuser Dorfplatz, dem Königsplatz und in der Turnhalle der Schule Am Lindenberg. Gemeinsam mit den Siedlergemeinschaften rund um den Lindenberg führte man im Bürgerhaus Lohfelden gemeinsame Karnevalsveranstaltungen mit über 400 Besuchern durch. Musikeinlagen der Lindenberger Kellergeister brachten dann "Siedlerstimmung". Immer wieder nahm die Gemeinschaft an Landes- und Bundeswettbewerben teil und erhielt viele Preise. Gemeinsam unternahm man zahlreiche Busfahrten, aber auch Schiffsfahrten auf der Fulda, z. T. mit zwei Schiffen. Immer wieder wurde im Garten der Familie Kraus ein großes Zelte aufgestgellt und große Feste gefeiert. Hannelore Kraus leitete die Frauengrupp von 1983 bis 1998 überaus erfolgreich. Im Nov. 1989 geschah Unfassbares, die Grenzen zur DDR wurden geöffnet, da waren die Lindenberger Frauen natürlich zur Stelle. Es wurden an der Leipziger Straße Waffeln und heiße Getränke angeboten. Heiße Getränke gab es auch alljährlich zu unserem Glühweintreffen, bei denen sich Siedler und Nachbarn zum gemütlichen Gedankenaustausch trafen. Im Mai 1996 feierten wir unter dem höchstgelegenen Maibaum (Bild rechts) auf dem Grundstück der Fam. Martin ein Fest.
Ab 1998 schrieb Hans-Peter Pütz (Bild unten links) die Chronik weiter:
Nach jeder Epoche werden alte Gewohnheiten beibehalten. "So war nach dem Fest des 40-jährigen Bestehens eine Schar von durchaus begeisterten Sängerinnen und Sängern bereit, im Rahmen einer Gesangsgruppe das Siedlerleben weiter zu beleben. Die Lust hierzu zeigte sich vielleicht in den Vorbereitungen zum 40 jährigen. Hier war der damalige Oberbürgermeister der Stadt Kassel -Herr Lewandowski- als Schirmherr eingeladen und hatte auch seine Teilnahme am Kommers des Festes zugesichert. Da Lewandowski in Ostpreußen geboren ist, hatte der Vergnügungsausschuss beschlossen, ihm zur Ehre das Ostpreußenlied von sangesbegeisterten Siedlerinnen zu Gehör zu bringen. Nach ein paar Übungen bei denen sich schon zeigte, das die Lindenberger Musik im Blut haben, wurden gleich noch weitere Liedbeiträge einstudiert. Geholfen hat uns dabei immer die instrumentale Unterstützung von Emmerich Martin und Günter Ellerkamp.
Zum großen Fest selbst klappte dann alles wie am Schnürchen. Und aus diesem Grund ist die Gruppe eine ganze Zeit bei regelmäßigen Übungsstunden geblieben. Auftritte wurden unter anderem zu Ehejubiläen- und auch in der Seniorenwohnanlage Lindenberg durchgeführt. Erst als Emmerich Martin uns nach langer, schwerer Krankheit für immer verlassen hatte, fand der Singkreis keinen rechten Tritt wieder, um all das Begonnene fortzusetzen.
Die Vorstandssitzungen und Übungsstunden der Singgruppe fanden zuerst weiter im großen Kellerraum von Herbert Kraus statt, so auch die Silvesterfeier 2000, zu der alle Siedlerinnen eingeladen waren.
Bei einem weiteren Landeswettbewerb, ebenfalls im Jahr 2000, zu dem auch die Leiterin des Amtes für Wohnungs- und Siedlungswesen der Stadt Kassel, Frau Steinbach, wie immer eingeladen war, machte diese den Vorschlag, am Rande der Siedlung oder im großräumigen Bereich in der Senioren Wohnanlage (SWA) ein Gebäude oder Blockhaus für die Lagerung von Geräten der Gemeinschaft zu errichten. Da sich im internen Bereich keine geeignete Fläche befand, wurden Verbindungen zur SWA aufgenommen. Hier hatte sich ein Stück unterhalb der Anlage mit direkter Anbindung an den Faustmühlenweg als geeignet gezeigt. Die Leitung der SWA war anfangs einverstanden und das eingeschaltete Stadtbauamt riet uns sogar zu einem festen Bau.
Leider hat die SWA, beziehungsweise die Trägerin der Anlage, die Städtischen Kliniken, den Bereich der Liegenschaft einer anderen Nutzung unterworfen oder verplant. Aber da wir nun einmal den Fuß in der Tür der SWA hatten, haben wir die Gunst der Stunde genutzt und mit der Leiterin, Frau Teppert, eine andere Variante gesucht und wie sich herausstellte auch gefunden. Die SWA signalisierte uns vorerst einen großen und einen kleineren Raum sowie den Raum, in dem das Archiv noch untergebracht war, in der zweiten Etage der sogenannten Villa zu überlassen. Die Toilette sollten wir uns anfänglich mit dem dort noch ansässigen Betriebsrat teilen.
Da eine Entscheidung nicht einfach so zu treffen war, haben wir einfach mal eine Vorstandssitzung im Februar 2001 im großen Raum durchgeführt und uns das Votum aller Vorstandsmitglieder geholt. Die Interpretation der Grundüberlegung war auf der einen Seite, können wir unseren älteren Mitglieder die Treppen in die zweite Etage zumuten, was kommt auf der anderen Seite für Arbeit und Kosten auf die Siedlung und ihre Bewohner zu. Aber auch die Schaffung eines Vereinsheimes, das einen Vergleich mit den anderen Gemeinschaften im Stadtteil nicht scheuen muss, galt es zu schaffen. (Bild unten: Ehrung zum 40-jährigen Jubiläum, rechts Landesvorsitzender Rudolf Starker)
Da eine Entscheidung nicht einfach so zu treffen war, haben wir einfach mal eine Vorstandssitzung im Februar 2001 im großen Raum durchgeführt und uns das Votum aller Vorstandsmitglieder geholt. Die Interpretation der Grundüberlegung war auf der einen Seite, können wir unseren älteren Mitglieder die Treppen in die zweite Etage zumuten, was kommt auf der anderen Seite für Arbeit und Kosten auf die Siedlung und ihre Bewohner zu. Aber auch die Schaffung eines Vereinsheimes, das einen Vergleich mit den anderen Gemeinschaften im Stadtteil nicht scheuen muss, galt es zu schaffen.
Die Unterbringung der Geräte der Gemeinschaft wurde ermöglicht, indem uns von der Gemeinnützigen-Wohnungsbau-Gesellschaft (GWG) der Stadt eine Garage zur Verfügung gestellt gestellt wurde, die wir später mit der Siedlergemeinschaft Lindenberg I teilten. Die Arbeiten am neuen Vereinszuhause gingen dann zügig voran. Zuerst wurde der Fußboden saniert, alter Teppichboden entfernt und Laminat eingebaut. Für die Abfuhr des Bauschuttes musste oft Müggen's Anhänger herhalten. Dann hatten die Maler und Tapezierer ihren Part, bei allen Arbeiten war ich froh, auf so gute und erfahrene Werker wie Erich Rüba, Herbert Kraus, Hans Gagalik, Klaus Kasper und den Fachmann für Elektrik Horst Mügge zurückgreifen zu können. Alle Beteiligten gingen bei der Durchführung der Arbeiten oft bis an ihre körperlichen Grenzen und zeigten so ihr Interesse am Projekt Villa. Jetzt galt es Mobiliar zu organisieren für unsere "Wohnung".
Tische wurden beschafft und umgearbeitet, Karin und Christian Marz aus Landwehrhagen boten ihre gebrauchte Küchenzeile an, sie wurde eingebaut und Christian besorgte auch gleich die Installation für diesen Raum und auch den Wasseranschluss in der Toilette. Einen Schankraum trennten wir ab. 40 Stühle, Geschirr und Bestecke für 60 Personen, einen Kühlschrank. Der Siedlungsförderverein und die Mitglieder halfen großzügig mit Spenden.
Im Juli 2002 war es dann soweit: Die Villa wurde offiziell von Frau Tepper an uns übergeben. Mit dabei war Frau Steinbach, Vertreter der Presse (HNA), der Ortsvorsteher des Stadtteils und Vertreter der anderen Siedlergemeinschaft. Kleine und große Feste der Siedler*innen konnten nun dort stattfinden, unter anderem wurde eine Orientalische Tanzgruppe durch Käthe Marz ins Leben gerufen. Sie war übrigens am Anfang als Verwalterin eingesetzt. Viele Informationsveranstaltungen wurden organisiert.Das Leben außerhalb der Villa ging natürlich nebenher seinen gewohnten Gang, Wanderungen Radtouren oder Besichtigungen wurden durchgeführt.
2004 stellten wir uns wieder einem Landeswettbewerb des DSB für „Die Beste Kleinsiedlung". Wir belegten einen der dritten Plätze.
Die Villa wurde in der folgenden Zeit mal mehr, mal weniger genutzt, aber blieb immer das Zuhause der Lindenberger. Für die jüngeren Siedler wurde in 2006 ein Tisch-Fußballgerät angeschafft. Es fand im Jahr der Fußball Weltmeisterschaft großen Anklang bei dieser Zielgruppe, die sich vorgenommen hatte, sich immer am letzten Freitag im Monat zum Schnuddelabend zu treffen. Die legendären Glühweinfeste/-treffen wurden bis auf das im Jahr 2005 in der Werkstatt von Herbert Kraus abgehalten. In diesem Jahr hatte man sich zu einem Abendspaziergang entschlossen, mit dabei waren Siedler aus der Gemeinschaft Lindenberg I. An zwei Punkten unterwegs wurden die "Wein Wanderer" mit dem heißen Getränk versorgt und am Monte Scherbelino schwangen auf dem dortigem Parkplatz einige Teilnehmer sogar das Tanzbein. Aber schon in 2006 führte man das Treffen wieder in traditioneller Weise durch. Bei all diesen Veranstaltungen waren Siedler von Lindenberg I, der Forstfeldsiedlung und manchmal sogar aus dem Erlenfeld mit dabei.
In 2006 erhoben wir unsere Stimme gegen den geplanten Ausbau der Autobahn A7 auf acht Fahrspuren. Wir erhielten im Rathaus Akteneinsicht und fanden beim Lärmschutzbericht FehlerIm Jahr 2007 wurde Horst Mügge (im Bild die Kellergeister; Horst Mügge links) wieder zum Vorsitzenden gewählt, auch konnte der Vorstand durch vier neue Mitglieder vervollständigt werden.
Hans-Peter Pütz wünscht zum Abschluss der Chronik ein weiterhin gutes Gelingen mit einem handlungsfähigen Team.
Eine wesentliche Stütze des Vereins waren die "Lindenberger Kellergeister", eine Amateurkapelle mit Siedlern der Gemeinschaft. Ihnen soll aber ein eigener Beitrag gewidmet werden.
In der PDF-Datei in der Anlage finden Sie noch weitere Gedichte und Kurzgeschichten aus dem Siedlerleben der Siedlergemeinschaft Lindenberg II
Editor: Falk Urlen, Juni 2018
Dokumente zum Herunterladen
Wo spielt dieser Beitrag?
Kurzbeschreibung
Im Jahr 1983 schrieb Wilhelm Fietkau die Chronik zum 25. Jubiläum der Siedlergemeinschaft Lindenberg 2, diese wurde dann im Laufe der Zeit weitergeführt durch Dagmar Zach, Peter Pütz, Horst Mügge, Siglinde Mügge, Birgit Vogt, Bernd Scholl und Christian Will. In der Anlage werden gesammelte Erinnerungen dargestellt, die aus mehrern Festschriften entnommen wurden.
Artikel Kategorien
- Stadtplanansicht
- Straßen
- Agathofstraße [9]
- Am Försterhof [2]
- Am Holzmarkt [4]
- Am Messinghof [1]
- Am Sälzerhof [2]
- Autobahnauffahrt Kassel-Nord [1]
- Bergshäuser Straße [4]
- Bettenhäuser Straße [3]
- Bunte Berna [4]
- Buttlarstraße [5]
- Christophstraße [1]
- Dormannweg [9]
- Eichwaldstraße [14]
- Eschenweg [2]
- Faustmühlenweg [4]
- Forstfeldstraße [2]
- Gecksbergstrasse [1]
- Hafenstraße [4]
- Heiligenröder Straße [3]
- Heinrich-Steul-Straße [5]
- Huthstraße [4]
- Inselweg [2]
- Jakobsgasse [1]
- Kalkbergweg [1]
- Königinhofstraße [2]
- Leipziger Straße < Leipziger Platz [38]
- Leipziger Straße > Leipziger Platz [10]
- Miramstraße [4]
- Ochshäuser Straße [5]
- Olebachweg [1]
- Ölmühlenweg [4]
- Osterholzstraße [8]
- Pfaffenstieg [1]
- Pfarrstraße [8]
- Radestrasse [4]
- Salztorstraße [2]
- Sandershäuser Straße [9]
- Söhrestraße [2]
- Steinigkstraße [7]
- Unterer Käseweg [2]
- Waisenhausstraße [2]
- Waitzstraße [2]
- Wallstraße [1]
- Windhukstraße [2]
- Wohnstraße [2]
- Yorkstraße [1]
- Stadtansicht
- Alt Waldau [6]
- Alter jüdischer Friedhof in Bettenhausen [1]
- Blücherviertel [6]
- Dorfplatz an der Losse [39]
- Drahtbrücke Kassel [1]
- Eichwald [14]
- Erlenfeld [8]
- Fieselersiedlung im Stadtteil Forstfeld [2]
- Flugplatz Kassel-Waldau / Industriegebiet Waldau [6]
- Forstfeld [25]
- Forstfelder Mitte [1]
- Friedhof Bettenhausen [3]
- Fulda-Schifffahrt [7]
- Fuldabrücke Kassel [4]
- Gerhard-Fieseler-Flugzeugwerke [8]
- Hafen Kassel [3]
- Hafenbrücke [2]
- Häschenplatz, Ochshäuser Str / Forstbachweg [4]
- Hessendenkmal am Waldauer Fußweg [1]
- Industriegebiet Lilienthalstrasse 150 [4]
- Industriegebiet Lilienthalstrasse/Wohnstrasse [12]
- Junkerscamp "Lettenlager" [8]
- Kasseler Forst [14]
- Kasseler Osten [22]
- Kunigundishof [2]
- Leipziger Platz [6]
- Munitionsfabrik 1916 [3]
- Quellgebiet der Eichwasserleitung [2]
- Salzmannshausen [14]
- Schröderplatz Forstfeld [5]
- Siedlergemeinschaft Lindenberg 1 [2]
- Spielplatz Osterholzstraße [1]
- Stadtschleuse und Walzenwehr [3]
- Unterneustadt [23]
- Wahlebach [4]
- Gebäude
- Altes Bürgermeisteramt [2]
- Altes Tor der Neustadt [1]
- Bahnhof Bettenhausen [4]
- Bahnhof Bettenhausen der Söhrebahn [2]
- Betriebshof Sandershäuser Straße [2]
- Bürgerhaus Waldau [2]
- Bürgerschulen 25 und 26 [7]
- Charité / Salzmanns Hof [4]
- Das "Große Maul" [1]
- Diana Werke [1]
- Ehemaliges Forstgut in der Ochshäuser Straße [2]
- Eisenhammer [4]
- Ev. Immanuelkirche Forstfeld [4]
- Ev. Jakobuskirche Eichwald [1]
- Ev. Marienkirche Bettenhausen [8]
- Fachwerkhaus Leipziger Straße 321 [1]
- Firma Pilzegrimm [2]
- Forstlehranstalt Waldau [4]
- Frw. Feuerwehr Bettenhausen/Forstfeld, DRK Bettenhausen/Waldau [3]
- Gasthaus "Zur Römerhalle" [2]
- Gaststätte Insel Helgoland [3]
- Gaststätte Nadler-Thalia [3]
- Gaststätte Zum Osterholz [3]
- Gaswerk Nürnberger Straße [1]
- Haferkakaofabrik/Schüle-Hohenlohe [3]
- Hallenbad-Ost [3]
- Hassia Drogerie [1]
- Haus Forstbachweg [4]
- Heilsarmee Sozial-Center-Kassel [1]
- Jägerhaus / Kastell [2]
- Kadruf [2]
- Kindertagesstätte Forstbachweg [1]
- Kindertagesstätte Lindenberg [1]
- Kupferhammer [1]
- Lilienthalstraße 1 [1]
- Lossekraftwerk [1]
- Lossemühle Agathof [3]
- Messinghof [2]
- Molkerei Krell [2]
- Postamt Bettenhausen [1]
- Pulvermühle / Herkulesbrauerei [2]
- Salzmann & Comp. [11]
- Schmiede Waldau [1]
- Schule Am Lindenberg [5]
- Schützenhaus [1]
- Seniorenwohnanlage Lindenberg [1]
- Siechenhof [2]
- St. Kunigundis - Kirche [5]
- St.-Andreas-Kirche Forstfeld [1]
- Stadtteilzentrum Agathof [16]
- Theater des Osten / Restaurant Belz [4]
- Treffpunkt Samowar [1]
- Unterneustädter Mühle [2]
- Wartburghütte Niestetal [3]
- Wollwäscherei Mosbacher [1]
- Zehntscheune Waldau [2]
- Kultur
- Erlebte Geschichte
- Familienfest
- Feier
- Unternehmen
- Organisationen
- Menschen
- Frühgeschichte
- Mittelalter
- 13. Jahrhundert
- 14. Jahrhundert
- 15. Jahrhundert
- 16. Jahrhundert
- 17. Jahrhundert
- 18. Jahrhundert
- 19. Jahrhundert
- 1900er Jahre
- 1910er Jahre
- 1920er Jahre
- 1930er Jahre
- 1940er Jahre
- 1950er Jahre
- 1960er Jahre
- 1970er Jahre
- 1980er Jahre
- 1990er Jahre
- 2000er Jahre
- 2010er Jahre
- 2020er Jahre