- Startseite
- Erinnerungen
- Das Blücherviertel – Genossenschaftlicher Wohnungsbau am rechten Fuldaufer
Das Blücherviertel – Genossenschaftlicher Wohnungsbau am rechten Fuldaufer
- Autor: Erhard Schaeffer
- Zeit: 1850-1899
- Ort: Blücherviertel
- Vom: 09.03.2016
- Themen: Stadtentwicklung, Siedlungsgesellschaften / Genossenschaften
Blick von der Maulbeerplantage zur Blücherstr. Ecke Körnerstr. ca.1920
Foto: Beamtenwohnungs Verein Kassel
Mit dem Ende des Kurfürstentums 1866 war Kassel Provinzhauptstadt des preußischen Staates mit zahlreichen Oberbehörden geworden. Die Beamten dieser wachsenden Behörden bekamen den allgemeinen Wohnungsmangel am ärgsten zu spüren. Um der Wohnungsnot Abhilfe zu schaffen, wurde auf Initiative von Regierungssekretär August Bunge am 19. August 1889 der Beamten-Wohnungsverein zu Kassel e GmbH gegründet. Auf dem Lindenkohlschen Grundstück am rechten Fuldaufer nahm die Bautätigkeit der Genossenschaft mit dem Blücherviertel 1892 ihren Anfang. Das begehrte Wohnviertel erlebte in über 120 Jahren glanzvolle Zeiten des Bauens in der Gründerzeit, tragische Zerstörungen im Bombenhagel des Zweiten Weltkrieges und einen Neuanfang mit dem Wiederaufbau nach dem Krieg.
1892 entstand der Arbeiter-Bauverein in Cassel eGmbH. Seine Gründungsväter entstammten alle der Christlichen Arbeiterbewegung und hatten es sich zur Aufgabe gemacht, Industriearbeitern menschenwürdigen, sauberen und gesunden Wohnraum zu beschaffen. Die Allgemeine Wohnungs- und Spargenossenschaft zu Cassel eGmbH entstand unmittelbar aus der Belastung durch die hohen Mieten und der Wohnungsknappheit zu Beginn des 20. Jahrhunderts. Sie wurde 1902 als Mietergenossenschaft ohne ständische oder sonstige Einschränkungen gegründet. Zwei Gründe führten im Wesentlichen zur Entstehung dieser Genossenschaften. Zum einen die Grundstücksspekulation am Ende des 19. Jahrhunderts, zum anderen die Ansiedlung von neuen Industriebetrieben und Behörden.
Die 13 Gründer des Beamten-Wohnungsverein zu Kassel um August Bunge hatten klare Vorstellungen von gesunden, schönen Klein- und Mittelwohnungen wie sie der Mieter brauchte und von denen es in Kassel zu jener Zeit zu wenige gab. Die Miete sollte nicht hoch und dem schmalen Gehalt angepasst sein. Die Witwe des Kasseler Professors Dr. Lindenkohl bot der Genossenschaft ein dicht an der Drahtbrücke auf der rechten Uferseite gelegenes 2,35 ha großes Grundstück für 150.000 Mark zum Kauf an. Es war für die genossenschaftliche Siedlung ideal, da innenstadtnah und verkehrsberuhigt aber über die Fußgängerbrücke gut an den Auepark angebunden. Zur kompletten Finanzierung fand sich keine Bank und deshalb wurden verstärkt Mitglieder geworben und mit 4%igen Schuldverschreibungen konnte die Finanzierung zum Kauf 1891 erreicht werden. 1892 waren die ersten sechs Reihenhäuser Nummer 4-14 mit 30 Wohnungen in der selbst erschlossenen Blücherstraße für die Mitglieder mit Wohnrecht bereits bezugsfertig. Dies war der Anfang eines erfolgreichen Wohnungsbaues in der Gründerzeit. In den Folgejahren entstanden im Blücherviertel weitere 34 Häuser mit 280 Wohnungen, drei Läden sowie ein Restaurant.
Am 1. Oktober 1895 waren bereits 16 Häuser in der Blücherstraße 16-20 und 3-11 mit 80 Wohnungen zu Mietpreisen von 200-800 Mark errichtet. 1898 und 1899 kamen die Häuser Maulbeerplantage 25½ und 27 dazu. Zwischenzeitlich war auch ein größeres Gelände im teuren Westen der Stadt (Murhardstraße, Nebelthaustraße und Luisenstraße) erworben, auf dem in mehreren Bauabschnitten mittlere und kleine Wohnungen erstellt wurden.
Eine wertvolle Besitzerweiterung brachte der Erwerb des Grundstückes „Schiebelers Garten“ an der Maulbeerplantage in der Nähe der Drahtbrücke. Der Gartengrund wurde in den Jahren 1910-1913 bebaut. Es wurden insgesamt 103 Wohnungen errichtet. Auf dem Gelände des ehemaligen Konzertgartens entstand das Restaurant „Blücherhof“ mit Versammlungssaal und Kegelbahn.
Die lebhafte Bauentwicklung mit der Errichtung von Miethäusern im Blücherviertel in den Jahren vor dem Ersten Weltkrieg kennzeichnet folgende Übersicht:
1903-1905 Körnerstraße 2,4,6,8 und Jahnstraße 30
1906 Blücherstraße 1
1907-1910 Jahnstraße 26, 28, 32, 34, 36, Gneisenaustraße 1 und 3, Körnerstraße 11
1911 Körnerstraße 7, 7a, 9
1912 Maulbeerplantage 25, 25a, b, c
1913 Körnerstraße 1, 3, 5
Die Mietpolitik der Baugenossenschaft unterschied sich von der der Privathausbesitzer. Es gab keine Ausnutzung des Wohnungsmarktes zum Nachteil der Mieter. Die Wohnungsinhaber (Genossenschaftsmitglieder) hatten darüber hinaus den Vorteil, dass ihre Wohnungen von der Genossenschaft unkündbar waren.
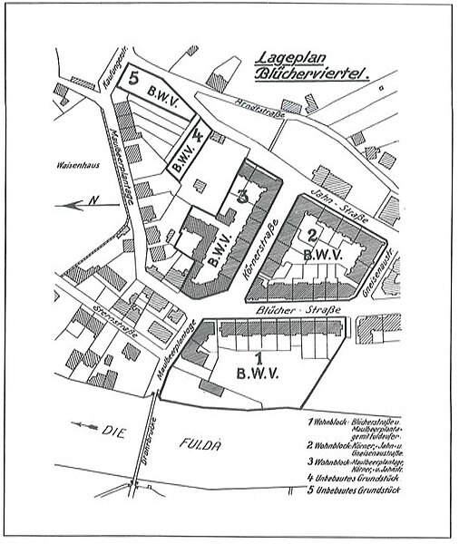
Die Finanzierung der Bauten war in den ersten 20 Jahren des Bestehens durch Selbsthilfe der Mitglieder möglich. In den Jahren 1910-1920 gelang die Finanzierung nur durch Staatsdarlehen, die die Verpflichtung mit sich brachten, einen Teil der Wohnungen auch für preußische Beamte zur Verfügung zu stellen. Neben den bereits bebauten Grundstücken, wie sie auf dem Lageplan oben zu sehen sind, besaß der Beamten-Wohnungsverein zu Kassel auch noch Bauland an der Jahnstraße und an der Kaufunger Straße. Die prächtigen Gründerzeithäuser in den breiten Straßenzügen standen im ganzen Gegensatz zu den schmalen Fachwerkhäusern in dem eng bebauten älteren Teil der Unterneustadt, zu dem sie zählten. Die Wohnungen an der Blücherstraße waren besonders begehrt, man hatte freien Blick auf die Fulda. Hinter den Häusern hatte jeder einen Garten und daran anschließend befand sich eine Bleiche mit Wasserstelle zur Fulda. Die Wohnungen hatten aber auch Nachteile, denn bei Hochwasser waren häufig die Keller überflutet. Im Blücherviertel wohnten sehr viele Lehrer, aber auch einige Leute, die nicht Beamte waren.
Bis zur Weimarer Republik war die Bautätigkeit der Genossenschaft im Blücherviertel im Wesentlichen abgeschlossen. August Bunge legte 1924 sein Amt des Vorsitzenden nieder und Stadtrechnungsdirektor Ernst Bähr wurde sein Nachfolger. Trotz Arbeiter- und Baustoffmangel während des Ersten Weltkrieges entwickelte sich der Bauverein erfolgreich weiter. Es entstanden weiter Objekte wie z. B. in der Wilhelm Schmidt Straße und der Schönfelder Straße und später im Stadthallenviertel der Stadt Kassel.
1939 vor Beginn des Zweiten Weltkrieges besaß der Beamten-Wohnungs-Verein 135 Häuser mit 1003 Wohnungen. Die Mitgliederzahl war inzwischen auf 1644 gewachsen. Die Wohnungen im Blücherviertel bewohnten nun nicht nur vorrangig Beamte und deren Witwen sondern Bürger aus allen sozialen Schichten. Im Zuge der ab 1940 unter den Nationalsozialisten durchgeführten Zwangsverschmelzung schlossen sich mehrere Genossenschaften zur Wohnungsgenossenschaft 1889 Kassel e GmbH zusammen.
Am 22. Oktober 1943 zerstörten die Bomben 43 der 47 Häuser des Blücherviertels darunter auch den Blücherhof. Bis zum Kriegsende blieben nur ein Viertel der Wohnungen komplett nutzbar der Rest war total- oder teilzerstört. Ein Großteil der Bewohner wurden aus Kassel aufs Land evakuiert, andere lebten unter entbehrungsreichen Bedingungen in den Trümmern, die zu Spielplätzen der Kinder wurden, weiter. In dem autobiografischen Bild- und Erzählwerk „Als Opa hamstern ging“ schildert Christian Balke, der 1938 in der Blücherstraße geboren wurde, wie schwer das Leben nach 1943 dort war:
„Wir durften 1945 wieder nach Kassel in das teilzerstörte Haus Blücherstraße 24 zurück. Eine Bombe , die das Nachbarhaus Nr. 26 traf, hatte das Dach der Nr. 24 teilweise abgedeckt. Da das Haus eine Zeit lang unbewohnbar war, hatten Leute, die ihre Dächer reparieren mussten, sich bedient. Trotzdem das Haus wurde von unserer Familie und anderen bezogen. Die neue Dachverschalung bestand aus Fußbodenbrettern des Nachbarhauses, denn neue Ziegel gab es nicht. In den 50er Jahren begann der Wiederaufbau. Einige der ausgebrannten Häuser in unserer Straße mussten abgerissen werden da ein Wiederaufbau der Ruinen nicht sinnvoll war.“
Nach dem Krieg vereinigten sich unter dem Dach der Vereinigten Wohnstätten 1889 eG Kassel sieben ehemalige Genossenschaften. Dazu zählten auch der Beamten-Wohnungs-Verein zu Kassel e GmbH, der Arbeiter-Bauverein in Kassel eGmbH und die Allgemeine Wohnungs- und Spargenossenschaft zu Kassel eGmbH. Sie schafften den Wiederaufbau und die Beseitigung der Wohnungsnot. Mit dem staatlich geförderten Sozialen Wohnungsbau wurde Wohnraum für eine breite Schicht der Bevölkerung geschaffen.
Die Totalzerstörung der Körnerstraße ermöglichte z. B. den Übergang von der Reihenbauweise zur Zeilenbauweise. Zwischen den Wohnblöcken entstanden Grünflächen, die Luft und Sonne Zutritt gewähren. 1954 war das Blücherviertel soweit wieder hergestellt, dass dort 120 Wohnungen gerichtet werden konnten. Bis Ende 1958 konnten in neu erstellten Wohnungen Altmitgliederfamilien untergebracht und Mitgliedsfamilien darunter auch Flüchtlingsfamilien in wieder hergerichteten teilweise zerstörten Wohnungen aufgenommen werden. Die Herderschule, ein Oberstufengymnasium für Schüler der kooperativen und integrierten Gesamtschulen des Schulverbundes Kassel-Ost, wurde 1960 im Viertel integriert.
Viele Grundstücke, die im 19. und zu Beginn des 20. Jahrhunderts erworben wurden, befinden sich auch heute noch im Besitz der Vereinigte Wohnstätten 1889 eG. Bestand 2016 in der Unterneustadt:
Bettenhäuser Str. 12
Blücherstr. 1, 1A, 1B, 2, 3, 4, 5, 6, 7, 8, 9, 10, 11, 12, 14, 16, 18, 20
Christophstr. 23, 28, 32
Jahnstr. 30, 32, 34, 36
Körnerstr. 2, 4, 5, 6, 7, 8, 9, 10, 11, 13, 15
Sternstr. 5, 5A, 5B, 7, 7A, 7B, 7C, 9
Wenn man heute in die Blücherstraße schaut kann man an der Häuserzeile zwischen den moderneren Neubauten die alten Fassaden erkennen. Der Charme der Gründerzeit, den das Viertel einst ausstrahlte, ist allerdings verloren gegangen.
Editor: Erhard Schaeffer, Februar 2016
Quellen:
- 50 Jahre Beamtenwohnungs Verein Kassel, 1939
- 75 Jahre Wohnungsgenossenschaft 1889 e GmbH, 1964
- 100 Jahre Vereinigte Wohnstätten e. G., 1989
- Als Opa Hamstern ging, Christian Balke 2015
- Die Zerstörung Kassels im Oktober 1943, Werner Dettmar, 1983
Wo spielt dieser Beitrag?
Kurzbeschreibung
Mit dem Ende des Kurfürstentums 1866 war Kassel Provinzhauptstadt des preußischen Staates mit zahlreichen Oberbehörden geworden. Die Beamten dieser wachsenden Behörden bekamen den allgemeinen Wohnungsmangel am ärgsten zu spüren. Um der Wohnungsnot Abhilfe zu schaffen, wurde auf Initiative von Regierungssekretär August Bunge am 19. August 1889 der Beamten-Wohnungsverein zu Kassel e GmbH gegründet. Auf dem Lindenkohlschen Grundstück am rechten Fuldaufer nahm die Bautätigkeit der Genossenschaft mit dem Blücherviertel 1892 ihren Anfang. Das begehrte Wohnviertel erlebte in über 120 Jahren glanzvolle Zeiten des Bauens in der Gründerzeit, tragische Zerstörungen im Bombenhagel des Zweiten Weltkrieges und einen Neuanfang mit dem Wiederaufbau nach dem Krieg.
Artikel Kategorien
- Stadtplanansicht
-
Straßen
- Agathofstraße [10]
- Am Försterhof [2]
- Am Holzmarkt [4]
- Am Messinghof [1]
- Am Sälzerhof [2]
- Autobahnauffahrt Kassel-Nord [1]
- Bergshäuser Straße [4]
- Bettenhäuser Straße [3]
- Bunte Berna [4]
- Buttlarstraße [5]
- Christophstraße [1]
- Dormannweg [9]
- Eichwaldstraße [14]
- Eschenweg [2]
- Faustmühlenweg [4]
- Forstfeldstraße [2]
- Gecksbergstrasse [1]
- Hafenstraße [4]
- Heiligenröder Straße [3]
- Heinrich-Steul-Straße [5]
- Huthstraße [4]
- Inselweg [2]
- Jakobsgasse [1]
- Kalkbergweg [1]
- Königinhofstraße [2]
- Leipziger Straße < Leipziger Platz [39]
- Leipziger Straße > Leipziger Platz [9]
- Miramstraße [4]
- Ochshäuser Straße [5]
- Olebachweg [1]
- Ölmühlenweg [4]
- Osterholzstraße [8]
- Pfaffenstieg [1]
- Pfarrstraße [8]
- Radestrasse [4]
- Salztorstraße [2]
- Sandershäuser Straße [9]
- Söhrestraße [2]
- Steinigkstraße [7]
- Unterer Käseweg [2]
- Waisenhausstraße [2]
- Waitzstraße [2]
- Wallstraße [1]
- Windhukstraße [2]
- Wohnstraße [2]
- Yorkstraße [1]
-
Stadtansicht
- Alt Waldau [6]
- Alter jüdischer Friedhof in Bettenhausen [1]
- Blücherviertel [6]
- Dorfplatz an der Losse [39]
- Drahtbrücke Kassel [1]
- Eichwald [14]
- Erlenfeld [9]
- Fieselersiedlung im Stadtteil Forstfeld [2]
- Flugplatz Kassel-Waldau / Industriegebiet Waldau [6]
- Forstfeld [25]
- Forstfelder Mitte [1]
- Friedhof Bettenhausen [3]
- Fulda-Schifffahrt [7]
- Fuldabrücke Kassel [4]
- Gerhard-Fieseler-Flugzeugwerke [8]
- Hafen Kassel [3]
- Hafenbrücke [2]
- Häschenplatz, Ochshäuser Str / Forstbachweg [4]
- Hessendenkmal am Waldauer Fußweg [1]
- Industriegebiet Lilienthalstrasse 150 [4]
- Industriegebiet Lilienthalstrasse/Wohnstrasse [12]
- Junkerscamp "Lettenlager" [8]
- Kasseler Forst [14]
- Kasseler Osten [22]
- Kunigundishof [2]
- Leipziger Platz [6]
- Munitionsfabrik 1916 [3]
- Quellgebiet der Eichwasserleitung [2]
- Salzmannshausen [14]
- Schröderplatz Forstfeld [5]
- Siedlergemeinschaft Lindenberg 1 [2]
- Spielplatz Osterholzstraße [1]
- Stadtschleuse und Walzenwehr [3]
- Unterneustadt [23]
- Wahlebach [4]
-
Gebäude
- Altes Bürgermeisteramt [2]
- Altes Tor der Neustadt [1]
- Bahnhof Bettenhausen [4]
- Bahnhof Bettenhausen der Söhrebahn [3]
- Betriebshof Sandershäuser Straße [2]
- Bürgerhaus Waldau [2]
- Bürgerschulen 25 und 26 [7]
- Charité / Salzmanns Hof [4]
- Das "Große Maul" [1]
- Diana Werke [1]
- Ehemaliges Forstgut in der Ochshäuser Straße [2]
- Eisenhammer [4]
- Ev. Immanuelkirche Forstfeld [4]
- Ev. Jakobuskirche Eichwald [1]
- Ev. Marienkirche Bettenhausen [8]
- Fachwerkhaus Leipziger Straße 321 [1]
- Firma Pilzegrimm [2]
- Forstlehranstalt Waldau [4]
- Frw. Feuerwehr Bettenhausen/Forstfeld, DRK Bettenhausen/Waldau [3]
- Gasthaus "Zur Römerhalle" [2]
- Gaststätte Insel Helgoland [3]
- Gaststätte Nadler-Thalia [3]
- Gaststätte Zum Osterholz [3]
- Gaswerk Nürnberger Straße [1]
- Haferkakaofabrik/Schüle-Hohenlohe [3]
- Hallenbad-Ost [3]
- Hassia Drogerie [1]
- Haus Forstbachweg [4]
- Heilsarmee Sozial-Center-Kassel [1]
- Jägerhaus / Kastell [2]
- Kadruf [2]
- Kindertagesstätte Forstbachweg [1]
- Kindertagesstätte Lindenberg [1]
- Kupferhammer [1]
- Lilienthalstraße 1 [1]
- Lossekraftwerk [1]
- Lossemühle Agathof [3]
- Messinghof [3]
- Molkerei Krell [2]
- Postamt Bettenhausen [1]
- Pulvermühle / Herkulesbrauerei [2]
- Salzmann & Comp. [11]
- Schmiede Waldau [1]
- Schule Am Lindenberg [5]
- Schützenhaus [1]
- Seniorenwohnanlage Lindenberg [1]
- Siechenhof [2]
- St. Kunigundis - Kirche [5]
- St.-Andreas-Kirche Forstfeld [1]
- Stadtteilzentrum Agathof [16]
- Theater des Osten / Restaurant Belz [4]
- Treffpunkt Samowar [1]
- Unterneustädter Mühle [2]
- Wartburghütte Niestetal [3]
- Wollwäscherei Mosbacher [1]
- Zehntscheune Waldau [2]
- Kultur
- Erlebte Geschichte
- Familienfest
- Feier
- Unternehmen
- Organisationen
- Menschen
- Frühgeschichte
- Mittelalter
- 13. Jahrhundert
- 14. Jahrhundert
- 15. Jahrhundert
- 16. Jahrhundert
- 17. Jahrhundert
- 18. Jahrhundert
- 19. Jahrhundert
- 1900er Jahre
- 1910er Jahre
- 1920er Jahre
- 1930er Jahre
- 1940er Jahre
- 1950er Jahre
- 1960er Jahre
- 1970er Jahre
- 1980er Jahre
- 1990er Jahre
- 2000er Jahre
- 2010er Jahre
- 2020er Jahre